Estás en Telenord Medios

Puedes continuar navegando en esta versión o visitar nuestra web de Servicios.

Skip to main content

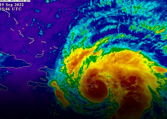
Tres aeropuertos siguen fuera de servicio y el de Punta Cana reanuda operaciones

El director interino del Instituto Dominicano de Aviación Civil (IDAC), Héctor Porcella, informó que el aeropuerto Internacional de Punta Cana reanudó sus operaciones de vuelos luego de que fuera cerrado en la noche del domingo por el paso del huracán Fiona.

Leer más…Tres aeropuertos siguen fuera de servicio y el de Punta Cana reanuda operaciones

Primer fallecido por Fiona en República Dominicana se produce en Nagua

Un hombre murió este lunes en San José de Matanzas, distritito muncipal de Nagua, en provincia María Trinidad Sánchez, al caerle encima un árbol como consecuencia de los fuertes vientos que se han estado registrando en esa zona debido al paso del huracán Fiona.

Leer más…Primer fallecido por Fiona en República Dominicana se produce en Nagua

Declaran en estado de emergencia ocho provincias por efectos del huracán Fiona

SANTO DOMINGO.- El presidente Luis Abinader emitió hoy el decreto 537-22, en que declara en estado de emergencia y zonas de desastre las provincias La Altagracia, La Romana, El Seibo, Samaná, Hato Mayor, María Trinidad Sánchez, Duarte y Monte Plata, las más afectadas por el paso del huracán Fiona.

Leer más…Declaran en estado de emergencia ocho provincias por efectos del huracán Fiona

Centro de Fiona persistirá sobre el este del país hasta la tarde con fuertes bandas que durarán hasta la noche

El Centro Nacional de Huracanes de Estados Unidos informó este lunes que el centro del huracán Fiona persistirá sobre el este de República Dominicana hasta esta tarde con fuertes bandas que durarán hasta la noche.

Leer más…Centro de Fiona persistirá sobre el este del país hasta la tarde con fuertes bandas que durarán...

Llaman a la población a no descuidarse, Fiona estaría generando aguaceros hasta el miércoles o jueves

El ingeniero Francisco Holguín, de la Oficina Nacional de Meteorología (Onamet), llamó a la población dominicana a no descuidarse que los aguaceros, asociados al huracán Fiona, que está impactando a la provincia La Romana, podrían extenderse hasta el jueves. “Miren lo que pasó en Puerto Rico” que el fenómeno ya salió y se están produciendo grandes acumulados de lluvia.

Leer más…Llaman a la población a no descuidarse, Fiona estaría generando aguaceros hasta el miércoles o...

En Bávaro 3 personas están atrapadas en su vehículos, hay desplazados y localidades aisladas

Los efectos del huracán Fiona, en las primeras horas de este lunes, han provocado inundaciones, localidades aisladas y desplazamientos de personas a distintos albergues en Bávaro, según informó el alcalde de esa zona turística de la provincia, La Altagracia, Manolín Ramírez.

Leer más…En Bávaro 3 personas están atrapadas en su vehículos, hay desplazados y localidades aisladas

Vientos del huracán Fiona dejan sectores sin luz y árboles y letreros caídos en Bávaro

Aunque las ráfagas de vientos no han sido tan fuertes todavía y no ha llovido copiosamente durante todo el día, en la zona de Bávaro, Punta Cana, provincia La altagracia, la noche de este domingo el huracán Fiona ya ha dejado cinco sectores sin energía eléctrica, ha tumbado árboles y letreros.

Leer más…Vientos del huracán Fiona dejan sectores sin luz y árboles y letreros caídos en Bávaro